Хазария и Терек

на главную - закладки

Жанры

Поделиться:
Шрифт:

Наши исследования, посвященные установлению функциональной связи явлений физической географии и палеоэтнологии на материале истории Центральной Азии и археологии дельты Волги, позволили сделать следующие выводы:

1. Историческая судьба изучаемой народности, являющаяся результатом его (данного народа) хозяйственной деятельности, непосредственно связана с динамическим состоянием вмещающего ландшафта.

2. Археологическая культура (данного народа), представляющая собой кристаллический след его исторической судьбы, отражает палеогеографическое состояние ландшафта в эпоху, поддающуюся абсолютной датировке.

3. Сочетание исторических и археологических материалов позволяет судить о характере данного вмещающего ландшафта в изучаемую эпоху и, следовательно, о направлении его изменений. И наоборот, наличие установленных данных о колебаниях климата, а тем самым и о соотношениях ландшафтов между собой дает возможность отыскания памятников давно исчезнувших народов.

4. При таком подходе становится возможным историко-географический синтез, на базе которого можно будет делать прогнозы, имеющие хозяйственное значение.

Проверке этих положений была посвящена полевая работа Северокаспийской палеогеографической экспедиции; НИГЭИ ЛГУ и Хазарской археологической экспедиции Государственного Эрмитажа в 1963 г. Нужно было доказать также и то, что сформулированные положения имеют не локальный, а докуменальный характер, и могут быть прослежены за пределами дельты Волги. Объектом исследования была избрана долина Терека, где древности изучены недостаточно и хазарские памятники до сих пор не были открыты, а именно они представляют наибольшее значение для решения поставленной проблемы.

Условные обозначения

Рис. 1. Терская Хазария в VIII–XII вв.

Широкая долина Терека, согласно всем историческим источникам, была населена хазарами. В V–VI вв. эта страна называлась Барсилия и, по мнению византийских хронистов Феофана и Никифора, здесь находилась родина хазар. [1, с.130] Там же, на берегу Терека [1, с.399] располагался богатый город Семендер, разрушенный Святославом. [1, с.444] Следовательно, хазары обитали в этой области не менее 400 лет.

1

Артамонов М. И. История хазар. Изд. Гос. Эрмитажа, Л., 1962.

1

Артамонов М. И. История хазар. Изд. Гос. Эрмитажа, Л., 1962.

1

Артамонов М. И. История хазар. Изд. Гос. Эрмитажа, Л., 1962.

Однако более точная локализация Терской Хазарии встретила ряд трудностей физико-географического характера.

Как всякая текущая в широтном направлении река, Терек блуждает по широкой равнине, затопляя те или иные участки степи. Даже теперь, когда русло Терека укреплено дамбами, долина его в низовьях затопляется почти ежегодно. Разливы реки делали эту местность непригодной для оседлых поселений, особенно в I тысячелетии н. э., когда степная зона Евразии переживала эпоху увлажнения. Значит, хазарские поселения должны были располагаться по среднему течению Терека, в том месте, где ногайские песчаные дюны ограничивают с севера речную долину и дают населению возможность не бояться наводнений. На окраине этих песков ныне расположены станицы гребенских казаков, бывших такими же виноградарями, охотниками и воинами, как средневековые хазары.

Между закраиной песков и широколиственным лесом, окаймляющим Терек, тянется полоса степей шириной от 3 до 10 км. Ныне это единственно населенная часть долины. Итак, на левом берегу Терека сочетаются четыре микроландшафта: густой лес, сухая степь, песчаная пустыня и ниже заливные луга с порослями камыша. Разумеется, за 2000 лет соотношение этих микроландшафтов менялось, и археологические памятники позволят проследить характер изменений.

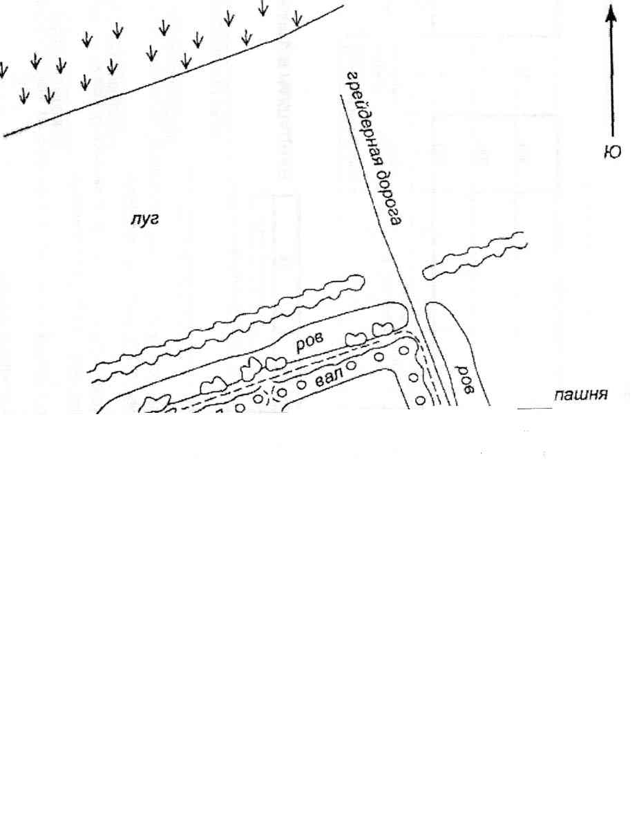
На очерченной территории после I века н. э. существовали четыре культуры: сармато-аланская, близкая к ней по технике изготовления керамики хазарская, ногайская и русская. Сармато-алано-хазарская культура, датирующаяся I тысячелетием н. э., представлена двумя городищами в степной зоне: одно — выше станицы Шелковской, другое — у пос. Кордоновки, ниже Кизляра. Оба городища находятся на берегах стариц Терека, окружены валами из саманного кирпича, расплывшимися до естественного уклона, и рвами, заплывшими почти до краев. Разнятся они по плану, керамическому материалу и местоположению. Крепость у Кордоновки (см. рис. 2) — овал, вытянутый вдоль сухого русла. Керамика внутри ее двух типов: 1) черноглинная, изготовленная на гончарном круге, плохо прожженная, орнаментированная, с лощением и с венчиком, отогнутым наружу, сосуды большие, плоскодонные; 2) сероглинная, лепная, хорошо прожженная, лощеная. Оба типа находят аналоги: в сарматской керамике I–II вв. Городище находится посреди широкой равнины, образованной наносами Терека, в верхней части его дельты. Крепость у станицы Шелковской (см. рис. 3) представляет правильный квадрат. Длина стороны — 200 м. Посреди каждого вала — ворота, по сторонам которых расширения для башен. Кроме того, на каждой стороне по 8 оснований башен. Ров шириной в 50 и глубиной 1,5 м обходит стены со всех сторон, и, поскольку высота валов колеблется от 5,5 до 6,0 м, крепость представляет солидное сооружение. Керамика внутри крепости сероглинная, изготовленная на гончарном круге, тонкостенная, частично лощенная, очень хорошо прожженная. Сосуды большие, с венчиком, отогнутым наружу, — видимо, они употреблялись для хранения пищи и воды. Ближайшая аналогия этой керамики — керамика салтовской культуры. Эта крепость была сооружена позднее, чем описанная выше. Об этом говорит и планировка — жесткий квадрат, без учета особенностей рельефа, тогда как крепость у Кордоновки имеет валы, повторяющие изгибы старицы, на берегу которой она стоит.

Рис. 2. План крепости у пос. Кардановка.

Рис. 3. План крепости у станицы Шелковской, разрез вала и рва.

Самое интересное заключается в том, что крепость у Кордоновки расположена на гладкой равнине, подверженной наводнениям. Следовательно, время ее сооружения совпадает с эпохой усыхания аридной зоны, т. е. с II–IV вв., когда аланы вели войну с гуннами и нуждались в крепостях [прим. 1] . В эту эпоху низовья Терека при его тогдашнем маловодье могли быть заселены местными жителями, но при очередном увлажнении (V–X вв.) это стало невозможно. В это время обитатели долины Терека хазары избрали местом поселения окраину ногайских песков, где мы находим следы их поселений и огромные скопления керамики.

1

Гунны победили алан, «истомив их бесконечной войной» (Иордан). Окончательная победа была ими достигнута в 370 г. В 46З г. из-за Волги на Северный Кавказ вторглись сарагуры, победившие гуннов, и родственные им барсилы, обосновавшиеся в Прикаспии. Остатки гуннов, смешавшиеся с местными сарматами, — это хазары (Артамонов М. И. История хазар. Изд. Гос. Эрмитажа, Л., 1962). Около 567 г. хазары подчинились тюркютам и вместе с ними совершили походы в Закавказье, а также участвовали в их распрях. После падения Западно-Тюркютского каганата хазары основали свой, сохранив престол за династией Ашина.

Кроме поздней ногайской, керамика здесь двух типов — серая и бурая (от обжига поверхности), что характерно для хазарских могильников на Волге, где оба типа встречаются вместе. Орнамент довольно примитивный — насечка или волна, прочерченная под отогнутым наружу венчиком. Сосуды большие, с гладкими стенками и плоским дном, исключительно лепные. Толстостенные, пористые, они больше, чем нижневолжские, так как служили для хранения воды, чего в дельте Волги не требовалось. Скопления фрагментов керамики обследованы у станиц Червленой, Щедринской, Гребенской и Каргалинской, на окраине песчаной возвышенности. Глубже в песках, на второй гряде дюн, встречена лишь поздняя, ногайская керамика — розовая, хорошо прожженная, звонкая, напоминающая татарскую керамику XIV в.

Там же, в песчаных выдувах, обнаружены погребения. Около станицы Червленой в песке найден скелет: ориентированный на запад, он лежал на спине с вытянутыми руками. Рядом находились обломки серого и красного сосудов. Около станицы Щедринской в обрезе глубокого выдува, во второй гряде дюн, под линзой насыпной серой земли высотой 2,5 м найдены остатки погребения — тазовые и берцовые кости, позволившие установить, что труп был похоронен в яме сидя. Кости, очень плохой сохранности, сопровождаются фрагментами лепной керамики. Третье погребение, аналогичное предыдущему, тоже сохранилось частично. Оно состояло из черепа, обращенного лицом на запад, длинных костей под черепом и одного позвонка. Остатки ребер и несколько фрагментов лепной керамики были разбросаны вокруг черепа. Погребения этого типа также находят аналогию в телесском обряде погребения, [2] обнаруженном на бугре Степана Разина, в дельте Волги.

2

Бичурин Н.Я. Собрание сведений о народах, обитавших в Средней Азии в древние времена. М.-Л., 1950.

Археологические находки требуют исторической интерпретации. Хазары — потомки хуннских завоевателей и сарматских женщин — жили в стране Барсилии, бок о бок с болгарским племенем барсилов, которые позднее слились с хазарами в один народ. Барсилия располагалась в степях между Тереком и Волгой. Естественно, что эти три племени, отличаясь друг от друга по языку, религии, нравам и, может быть, антропологическому типу, имели сходный быт и, следовательно, одинаковую посуду. Поэтому различить их по характеру керамики невозможно. Однако керамический материал дает приблизительные абсолютные даты, и, сопоставляя их с намеченными нами периодами увлажнения степной зоны, мы можем прийти к двум важным выводам.

123
Комментарии:
Популярные книги

Старый, но крепкий 4

Крынов Макс
4. Культивация без насилия
Фантастика:
уся
фэнтези
5.00
рейтинг книги
Старый, но крепкий 4

Точка Бифуркации X

Смит Дейлор
10. ТБ
Фантастика:
аниме
фэнтези
попаданцы
5.00
рейтинг книги
Точка Бифуркации X

Живое проклятье

Алмазов Игорь
3. Жизнь Лекаря с нуля
Фантастика:
попаданцы
альтернативная история
аниме
фэнтези
фантастика: прочее
5.00
рейтинг книги
Живое проклятье

Древесный маг Орловского княжества 6

Павлов Игорь Васильевич
6. Орловское княжество
Фантастика:
аниме
фэнтези
попаданцы
5.00
рейтинг книги
Древесный маг Орловского княжества 6

Здравствуй, 1985-й

Иванов Дмитрий
2. Девяностые
Фантастика:
альтернативная история
5.25
рейтинг книги
Здравствуй, 1985-й

Газлайтер. Том 9

Володин Григорий
9. История Телепата
Фантастика:
фэнтези
попаданцы
5.00
рейтинг книги
Газлайтер. Том 9

Черный Маг Императора 14

Герда Александр
14. Черный маг императора
Фантастика:
аниме
сказочная фантастика
фэнтези
фантастика: прочее
попаданцы
5.00
рейтинг книги
Черный Маг Императора 14

Виконт. Книга 4. Колонист

Юллем Евгений
Псевдоним `Испанец`
Фантастика:
фэнтези
попаданцы
аниме
7.50
рейтинг книги
Виконт. Книга 4. Колонист

Точка Бифуркации III

Смит Дейлор
3. ТБ
Фантастика:
фэнтези
попаданцы
аниме
5.00
рейтинг книги
Точка Бифуркации III

Вторая жизнь майора. Цикл

Сухинин Владимир Александрович
Вторая жизнь майора
Фантастика:
героическая фантастика
боевая фантастика
попаданцы
5.00
рейтинг книги
Вторая жизнь майора. Цикл

Вечный. Книга V

Рокотов Алексей
5. Вечный
Фантастика:
боевая фантастика
попаданцы
рпг
5.00
рейтинг книги
Вечный. Книга V

Печать пожирателя 2

Соломенный Илья
2. Пожиратель
Фантастика:
городское фэнтези
попаданцы
аниме
сказочная фантастика
5.00
рейтинг книги
Печать пожирателя 2

Проданная Истинная. Месть по-драконьи

Белова Екатерина
Любовные романы:
любовно-фантастические романы
5.00
рейтинг книги
Проданная Истинная. Месть по-драконьи

Неудержимый. Книга XXVIII

Боярский Андрей
28. Неудержимый
Фантастика:
аниме
фэнтези
попаданцы
5.00
рейтинг книги
Неудержимый. Книга XXVIII